Skip to content
无人机航空地球物理探测技术、软件与装备
  • 首页
  • 半航空瞬变电磁
  • 全航空瞬变电磁
  • 软件
  • 插件库
  • 案例与服务
  • 联系我们
  • 首页
  • 半航空瞬变电磁
  • 全航空瞬变电磁
  • 软件
  • 插件库
  • 案例与服务
  • 联系我们

三维切片分析插件

三维切片分析插件

2026年3月23日sunhf插件商城


插件概述

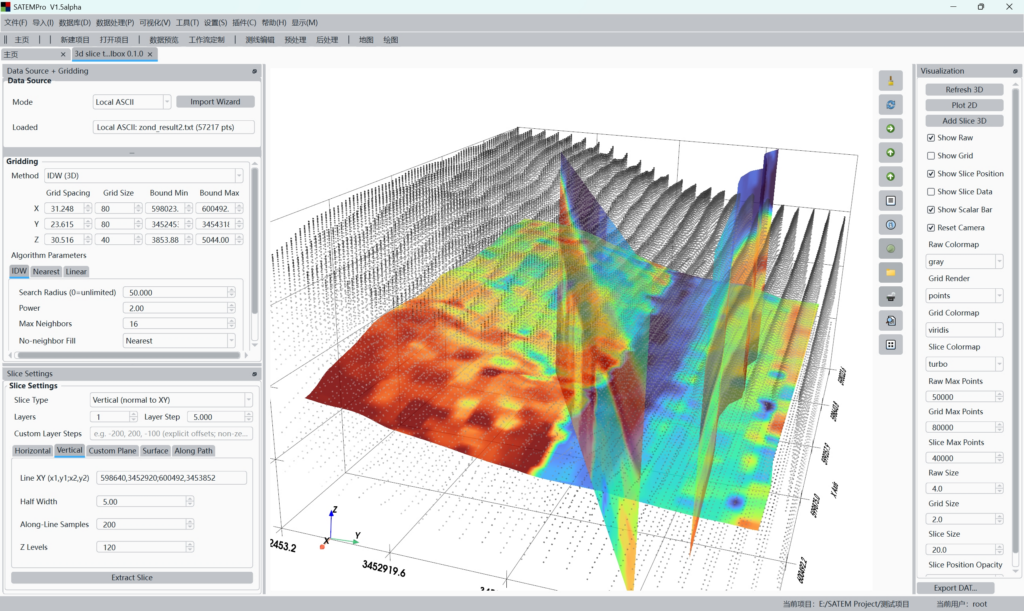
ThreeDSliceToolboxPlugin 用于三维散点数据(x, y, z, value)的网格化插值、多类型切片提取、三维/二维可视化与 DAT 导出。

插件下载及说明书

https://www.yuque.com/sunhuaifeng/satem/atgyd5wku2u3onci

Previous
Theme by Think Up Themes Ltd. Powered by WordPress.
  • SATEMPro软件下载
  • SATEMPro软件教程
  • em3d
  • Release Notes